Questo sito utilizza i cookie per offrirti una migliore esperienza di navigazione.
Cliccando su "Accetto" acconsenti all'utilizzo di tutti i cookies.
Se rifiuti o chiudi questo banner potrai ugualmente consultare il sito ma alcune funzionalità potrebbero non essere disponibili.

Leggi la Cookies policy
Si tratta di cookies tecnici indispensabili al funzionamento del sito
Consentono di monitorare le visite al sito (statistiche) e per farti visualizzare messaggi pubblicitari coerenti con le preferenze ed i gusti da te manifestati durante la tua navigazione su Internet

Delibera n. 118/2021

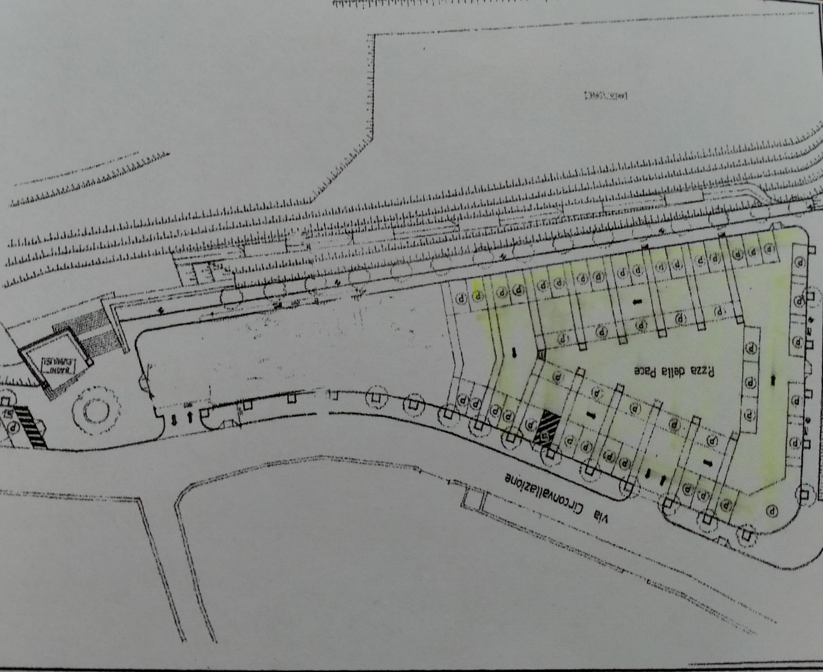
Utilizzo dell'area di Piazza Pace per lo svolgimento della manifestazione denominata mostra mercato dedicata alla promozione e valorizzazione dell'artigianato.
Numero:

118

Data:

26 agosto 2021

Descrizione

Utilizzo dell'area di Piazza Pace per lo svolgimento della manifestazione denominata mostra mercato dedicata alla promozione e valorizzazione dell'artigianato.

Documento

G.C. 118-21 mostra mercato.pdf [.pdf 857,89 Kb - 01/09/2021]

Allegati

Unità organizzativa responsabile

Responsabile

Dott. Federico Bozzetti

Tipo di documento

Documento albo pretorio > Atto amministrativo > Deliberazione > Deliberazione della Giunta comunale

Formati disponibili

  • PDF
  • JPG

Licenza di distribuzione

Pubblico dominio

Periodo di pubblicazione

Data inizio:
Data fine:

Ultimo aggiornamento pagina: 01/09/2021 13:40:58

Quanto sono chiare le informazioni su questa pagina?

Salta la valutazione della pagina
Valuta da 1 a 5 stelle la pagina

Grazie, il tuo parere ci aiuterà a migliorare il servizio!

Quali sono stati gli aspetti che hai preferito? 1/2
Dove hai incontrato le maggiori difficoltà? 1/2
Vuoi aggiungere altri dettagli? 2/2
Inserire massimo 200 caratteri